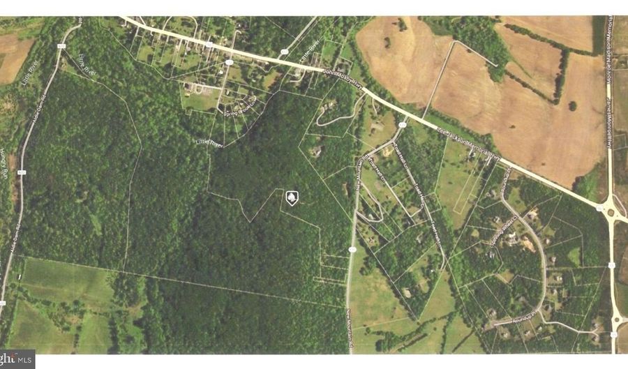
Opportunity to build your own mountain top retreat. 60 mostly wooded acres with a level building site. Once leaves drop Blue Ridge views to the west and valley views to the east. 5 bedroom certification letter issued from Health Department. 1500 feet of frontage on Little River. Road bed installed to building site. Property can not be subdivided. In Conservation Easement.
| Date | Event | Price | $/Sqft | Source |
|---|---|---|---|---|
| Listed For Sale | $950,000 | $∞ | Sheridan-MacMahon Ltd. |
| Year | Annual Amount | Description |
|---|---|---|
| $262 |
Elementary School Aldie Elementary | 1 miles away | PK - 05 | |
Elementary School Arcola Elementary | 4.4 miles away | PK - 05 | |
Elementary School Pinebrook Elementary | 5.4 miles away | PK - 05 |





